BOTOX® and Dysport® in Minneapolis, MN

A Quick, Painless Path to Smoother Skin

Schedule an Appointment
Person with blue eyes touching their hands to their cheeks while smiling

What Is Face Wrinkle Prevention?

Face wrinkle prevention is a popular solution for addressing wrinkles caused by factors like squinting, sun exposure, or the natural aging process. One of the most well-known methods of addressing these concerns is BOTOX® cosmetic, though other neurotoxin treatments using products like Dysport® are equally effective.

At Renew in Minneapolis, MN, you can experience quick and painless BOTOX® or Dysport® neurotoxin treatment. The treatment is administered with a tiny needle, minimizing discomfort and earning BOTOX® its nickname — the “lunch break procedure” — for the quick and efficient process.

Choosing BOTOX® for Face Wrinkle Prevention

BOTOX remains a popular choice for targeted, effective wrinkle prevention — especially for individuals who prefer a solution that provides control and consistency. The thicker formulation of BOTOX supports detailed, localized wrinkle reduction, which makes it ideal for smaller, high-focus areas like frown lines and crow’s feet. It’s a trusted option for those seeking:

  • Reliable, consistent results that deliver as expected
  • Enhanced precision for specific areas
  • A balanced, natural lift that subtly rejuvenates the skin

BOTOX®  offers an approach to facial aesthetics that’s rooted in accuracy, helping you achieve smooth, youthful skin with visible yet naturally integrated results.

Choosing Dysport® for Face Wrinkle Prevention

Dysport® offers a unique approach to smoothing facial lines by delivering a more subtle, natural appearance in targeted areas. Known for its quicker onset time, it’s ideal for those seeking faster results, particularly in areas with finer lines. Its slightly lighter consistency allows Dysport to spread more evenly across larger surfaces, like the forehead, making it a top choice for:

  • Faster onset and noticeable results shortly after treatment
  • Larger areas like the forehead where a soft, natural look is desired
  • Subtle, refined outcomes that offer a relaxed, rejuvenated appearance

This combination gives Dysport® a natural, fresh finish that enhances your look without compromising authenticity.

Cosmetic Neurotoxin Treatment at a Glance

The effects of BOTOX® or Dysport® are not immediate. Effects begin around 2-3 days after the injection and peak around 2 weeks post-treatment. The duration is dependent on many individual factors, but most people see results that last for at least 3 months.

Outpatient/inpatient: Outpatient
Length of procedure: 15 minutes
Length of recovery: No downtime

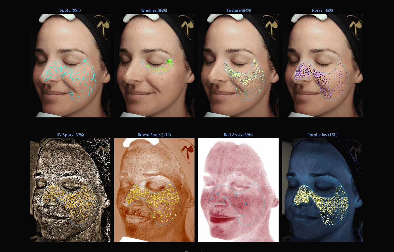
What’s Under Your Skin? Find Out for FREE With VISIA®.

Find out the underlying cause of brown spots, red patches, sun damage and other issues with a free full consultation using our VISIA® camera. Based on the results, we can recommend the right treatments to correct anything you’re not happy with.

VISIA scan example

See the Results

BOTOX® and Dysport® can make an undeniable difference in both the way patients look and feel — see the difference for yourself!

Glow Beyond The Med Spa

Transforming your skin doesn’t end when you leave our office — it’s an everyday commitment. The key to long-lasting, radiant results is a skincare routine that enhances and sustains your treatments. ZO Skin Health offers advanced, medical-grade solutions designed to nourish, protect and elevate your glow between visits.

“I’m the last person who thought they’d get Botox, but I wanted a subtle change and that was exactly what he gave me. I felt no pressure to change anything else, and I felt like he really listened to exactly what I wanted and it was exactly what he delivered!”

Frequently Asked Questions

The main difference lies in their active ingredients. BOTOX® is formulated with onabotulinumtoxinA, while Dysport® contains abobotulinumtoxinA. Both are derived from botulinum toxin type A, but they have slight variations in their molecular structures. Other differences include dosage conversion, spread, diffusion and how quickly results can be seen. Some patients see faster onset of results with Dysport®, though exact results will always vary from person to person.

The “worry lines” or “elevens” on the forehead are the most popular areas to address with BOTOX® treatment. Other common targets for neurotoxin injections include areas around the eyes, smile lines and bunny lines.

You’ll be given specific instructions following your procedure, but these general guidelines can help you prepare.

  • Refrain from massaging or poking the area of injection. That can cause the active ingredient in BOTOX®, botulinum toxin, to migrate to different areas of the face.
  • Don’t lie down for at least three hours after your injections.
  • Avoid heat sources such as hot tubs, saunas, and tanning booths as these may raise your blood pressure and increase your chances of bruising at the injection site.

Your face wrinkle prevention can be customized to suit your needs. If appropriate, BOTOX® is sometimes applied at the same time as filler. If you’re interested in getting BOTOX® in Minneapolis, schedule a free VISIA® Skin Analysis in our office to get a full treatment plan.

Your injection specialist will provide you with specific instructions but generally, avoid blood-thinning medicine, caffeine and alcohol for 24 hours before your procedure to reduce the probability of bruising. Refrain from doing anything that may break or irritate your skin such as applying some topical products, tweezing, bleaching and waxing hair.

Don’t Wait Another Day

Call +1 (952) 227-3639 for a Consultation